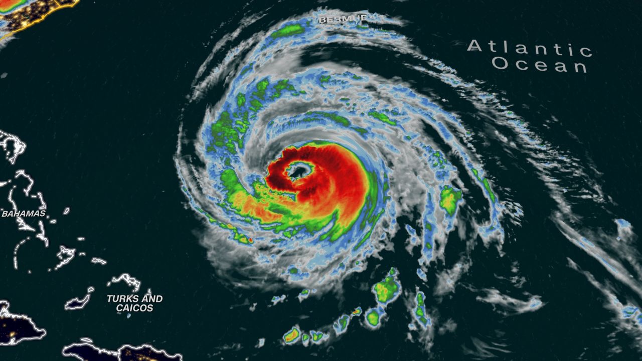
I got a bit of a start this morning when I got an email from the town housing authority about preparations for hurricane Lee. The storm is supposed to impact the Boston area around 2AM on Saturday until 2AM on Sunday. The email provided links to find out if I’m in a evacuation zone. It doesn’t look like I am, but we are sure to get lots of rain and wind and we could lose power. I guess I’ll be watching the Weather Channel in the coming days.
We are already having catastrophic flooding in some parts of the state, because we have had so much rain and fog here for weeks on end. There are more thunderstorms coming tonight and tomorrow. The area with the worst flooding recently got more than 10 inches of rain. It is so humid in my apartment fthat everything seems damp, and food gets stale quickly. Of course, none of this can compare to the awful weather that Dakinikat has been experiencing throughout this summer.
You can read about the three possible scenarios at the WaPo. The big problem for Massachusetts is that we have already had heavy rain for weeks. One town, Leominster, had to be evacuated. Other areas have significant flooding.
Down the Rabbit Hole
I haven’t been paying as much attention to political news as usual over the past couple of weeks, because I “went down a rabbit hole,” as Dakinikat calls it. First, I read a book by Barbara Kingsolver, Demon Copperhead. It is set in the mountains of southern Appalachia, specifically in Virginia. The book deals with a number of issues, including social services and foster care of orphaned or abused children and the opiod crisis. Much of the book is actually painful to read, but Kingsolver is such a fine writer that I couldn’t put it down.
I have chronic pain from rheumatoid arthritis, but it has never occurred to me to try to get powerful pain killers, because I am a recovering alcoholic and I have also experienced addictions to Valium and Percocet. I was prescribed tranquilizers beginning when I was about 19 or 20. I was given phenobarbital, then Lithium and later I took Valium for years.
I have paid so little attention to the story of Purdue Pharma and the Sackler family, that I didn’t know that the Sacklers made their fortune on Librium and Valium in particular. The withdrawal from Valium is very serious, but it’s nothing compared to Oxycontin, which further enriched the Sackler family and has killed hundreds of thousands of Americans. people who were hooked on Oxycontin eventually turned to heroin and fentanyl.
After I finished Demon Copperhead, I wanted to learn more about the opiod crisis and what happened with Oxycontin. First I watched a very good (partly fictionalized) documentary on Netflix, called Painkiller. Yesterday, I watched another Netflix series called The Pharmacist, which takes place in New Orleans. To say I was shocked by these shows is a serious understatement. I had no idea that Purdue Pharma pushed their drugs with sophisticated ad campaigns targeting doctors, and even went so far as to hire young women to approach doctors and flirt with them in order to convince them to prescribe more and more of the drug. Now I’m reading the book Empire of Pain, by Patrick Radden Keefe, which is a history of the Sackler family, how they made their huge fortune, and how they laundered their reputations through philanthropy.
This is definitely a political issue, and a difficult one, because rich corporations and individuals are rarely held to account and are usually allowed to buy their way out of legal issues. The Sacklers have now lost their “good name” at any rate. Their names have been taken off the many art collections, museum wings, etc. that they paid for. But none of them has gone to jail. They were allowed to declare bankruptcy and pay billions in restitution, but be protected from further lawsuits. The DOJ had a problem with that and right now the case is on hold in the Supreme Court.
From Reuters on August 11, 2023: US Supreme Court halts Purdue Pharma bankruptcy settlement pending review.
The U.S. Supreme Court on Thursday agreed to hear a challenge by President Joe Biden’s administration to the legality of OxyContin maker Purdue Pharma’s bankruptcy settlement, putting on hold a deal that would shield its wealthy Sackler family owners from lawsuits over their role in the country’s opioid epidemic.
The justices paused bankruptcy proceedings concerning Purdue and its affiliates and said they would hold oral arguments in December in the administration’s appeal of a lower court’s ruling upholding the settlement. The Supreme Court’s new term begins in October.

Richard Sackler was head of Purdue Pharma during the marketing of Oxycontin.
Purdue’s owners under the settlement would receive immunity in exchange for paying up to $6 billion to settle thousands of lawsuits filed by states, hospitals, people who had become addicted and others who have sued the Stamford, Connecticut-based company over its misleading marketing of the powerful pain medication OxyContin.
In a statement, Purdue said it was disappointed that the U.S. Trustee, the Justice Department’s bankruptcy watchdog that filed the challenge at the Supreme Court, has been able to “single-handedly delay billions of dollars in value that should be put to use for victim compensation, opioid crisis abatement for communities across the country and overdose rescue medicines.”
“We are confident in the legality of our nearly universally supported plan of reorganization, and optimistic that the Supreme Court will agree,” the company added.
The Justice Department declined to comment.
At issue is whether U.S. bankruptcy law allows Purdue’s restructuring to include legal protections for the members of the Sackler family, who have not filed for personal bankruptcy.
Purdue filed for Chapter 11 bankruptcy in 2019 to address its debts, nearly all of which stemmed from thousands of lawsuits alleging that OxyContin helped kickstart an opioid epidemic that has caused more than 500,000 U.S. overdose deaths over two decades.
I hope I’ve inspired a few people to learn more about this important issue. Purdue Pharma and the Sackler family single-handedly caused pain, heartache, and death to millions of people with Librium, Valium, and then Oxycontin, each of which they claimed were not addictive drugs. I can testify that Valium is definitely addictive. In the sober community, some refer to it as alcohol in pill form. Similarly, experts came to see Oxycontin as heroin in pill form. These people are monsters.
One more interesting link to the Sacklers: Rudy Giuliani stepped in to help them.
The new Netflix series “Painkiller” offers a fictionalized retelling of the rise of the powerful opioid OxyContin, depicting the real-life characters involved in manufacturer Purdue Pharma’s rapid ascent and subsequent downfall, including America’s most infamous mayor himself — Rudy Giuliani.
While certain aspects of the drama series have been embellished or altered amid the Hollywood treatment, Giuliani’s legal involvement in the Sackler family saga is rooted in reality.
The former New York City mayor and larger-than-life Trump ally helped Purdue Pharma continue to sell OxyContin even after federal prosecutors sought to make a case that the drug maker misled the public in claiming OxyContin was less addictive than other narcotics on the market.
Hundreds of thousands of people have died from opioid overdoses since the opioid crisis began in the 1990s, fueled at least in part, by OxyContin.

Arthur Sackler made his fortune in the 1960s and 1970s by pushing the drugs Librium and Valium, claiming they were not addictive.
Purdue Pharma hired Giuliani back in 2002, representing the first client his consulting firm ever landed, The New York Times reported in 2007. Then-beloved as the mayor who saw New York City through the September 11 attacks, Giuliani was brought on to convince public officials that Purdue was a trustworthy company, according to the newspaper.
Giuliani emerges as a key character in “Painkiller” in the mid-aughts as fictional lawyer Edie Flowers, played by actress Uzo Aduba, is working on behalf of the US attorney’s office to bring a lawsuit against Purdue Pharma. Despite prosecutors’ best efforts, the office ultimately reaches a deal with Purdue, which sees the company plead guilty to charges of fraudulent marketing and misbranding of OxyContin.
Part of the reason the company was able to reach that agreement was thanks to Giuliani’s efforts as Purdue’s lawyer. Journalist Patrick Radden Keefe, who wrote the New Yorker article upon which the Netflix show draws heavily, reported that Giuliani originally tried to “scuttle the case.”
Later, however, Giuliani and the other Purdue lawyers went above lead prosecutor John Brownlee’s head to complain to James Comey, who was the deputy attorney general at the time, The Guardian reported.
That’s my post for today. Feel free to react to what I’ve written or to discuss the latest news. I couldn’t face writing about Trump today.
Have a great Wednesday!!
What a great thread…thank you.
Thanks
It is! The Sacklers are bad eggs! A lot of the homeless people around here get addicted via their drug and now are taking heroin. They usually overdose sooner or latter and since Reagan, there aren’t the drug facilities there were back then. They should just take all their money and set up rehab centers and drop them on a deserted island somewhere. They are not worth their spillover costs to society.
Be safe! Make sure you have at least 3 days of potable water put aside,
a gallon for each family member, including your pets. If you have a
generator, make sure all your 3-prong extension cords are in good shape
or go get some more. Freeze soda and water bottles with water in them
now, as many as you can! That way when the power goes out, they can help
keep your food cold. And when they do thaw, you’ve got cold drinking
water. We’re worried about you here in New Orleans,
Anne Timmons-Harris
A.R.T. Precious Collectible Jewelry
PO Box 70890 New Orleans LA 70177
(504) 452-1339
anne@beadbear.com
A.R.T. P&C Website https://www.beadbear.com
Beadbear on Square https://art-precious-collectible-jewelry.square.site
Wear your Beads in Good Fortune
I live alone in a large apartment building. The storm isn’t expected to hit our area as a hurricane. I expect a lot of wind and rain, but flooding isn’t likely here. I don’t live on the coast. I appreciate your advice and will follow it as best I can.
I’ll be thinking of you Sat/Sun with the wind being unfriendly!
Very interesting post. Re Kingsolver, she was just about my favorite author, but sadly not so much after her early genius books (The Bean Trees and Pigs in Heaven). I started the Poisonwood Bible and did manage to finish it, but it struck me as on the turgid side. The writing itself is brilliant. Hers always is. But the story and the people in it, well, didn’t work for me. I read about Demon Copperhead, probably in NYT, but same thing. Maybe I should give it another go.
It seems the comments are behaving here now. I couldn’t do much with the JetPack Ap today but it had a few interesting additions like adding prior posts at the bottom and a few current articles on the topics in the post today.